¡Alerta Máxima! Huracán Melissa categoría 5 toca tierra en Jamaica y Cuba
¡Alerta máxima! El huracán Melissa, categoría 5, amenaza con vientos devastadores a Jamaica y Cuba. Detalles del impacto en el Caribe aquí.

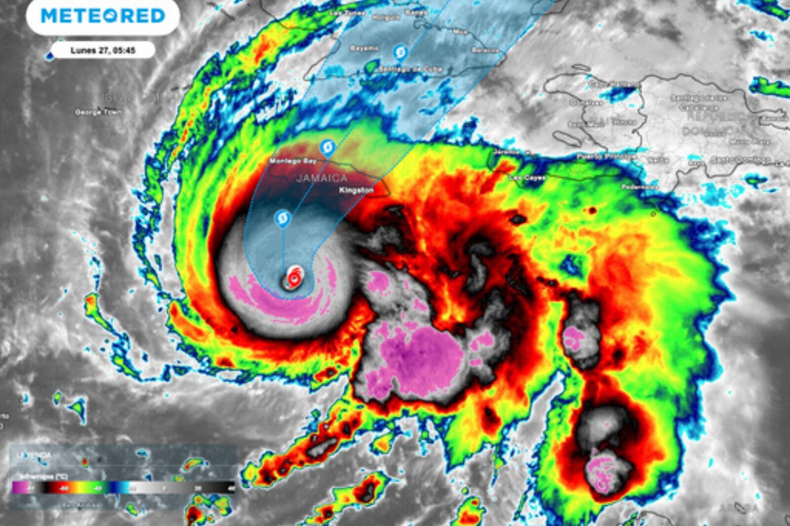
El huracán Melissa alcanzó la Categoría 5, la máxima, con vientos destructivos que amenazan directamente a Jamaica y Cuba, generando una alerta máxima en el Caribe.
El Centro Nacional de Huracanes de Estados Unidos (NHC) informó este lunes 27 de octubre que el huracán Melissa alcanzó la Categoría 5 en el mar Caribe, con vientos de casi 260 kilómetros por hora, lo que puso en máxima alerta a Jamaica y Cuba ante la inminente llegada de vientos destructivos y lluvias catastróficas.
El NHC detalló en su último aviso que el huracán Melissa se intensificó rápidamente en su trayecto, convirtiéndose en el fenómeno más destructivo de la escala Saffir-Simpson. El organismo advirtió que los vientos destructivos, las marejadas ciclónicas y las inundaciones catastróficas en Jamaica "empeorarán a lo largo del día y durante la noche" de este lunes.
Las autoridades jamaiquinas han instado a la población a no abandonar los refugios y a permanecer bajo resguardo durante este lunes y martes, ante el alto riesgo de lluvias intensas y ráfagas de viento extremas.
Los vientos destructivos de la Categoría 5 podrían causar severos daños a la infraestructura, cortes eléctricos y fallas en las comunicaciones, mientras que las zonas costeras se enfrentan a potentes marejadas y riesgo de deslizamientos de tierra.
Trayectoria y alerta en Cuba
De acuerdo con los pronósticos oficiales, se espera que Melissa toque tierra en Jamaica este lunes, para luego dirigirse hacia las costas de Cuba entre el martes y miércoles.
En territorio cubano se prevén lluvias torrenciales y vientos de gran intensidad durante la tarde-noche del martes, por lo que se han activado los protocolos de emergencia.
Además de Jamaica y Cuba, se prevé que el paso del fenómeno genere precipitaciones muy intensas y posibles afectaciones en Haití y República Dominicana, por lo que las autoridades han emitido alertas preventivas en todo el Caribe.
Huracanes: Videos manipulados por IA se viralizan durante el paso del huracán Melissa
Falsos videos creados con inteligencia artificial sobre el huracán Melissa circulan en redes sociales, generando confusión entre usuarios y alertas por desinformación digital. Videos manipulados y generados por inteligencia artificial (IA) se viralizaron en redes sociales -- leer más
Noticias del tema